-

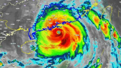
深圳已进入桦加沙10级风圈
据广州市气象台今早7时30分发布的消息,受台风影响,过去1小时,广州市出现分散阵雨,356个站点(6...
欧意交易所 2025-09-24 7
-

从今天开始,全球市场将进入“超级72小时”
图片来源视觉中国 动图由豆包AI「照片动起来」生成 美两国贸易谈判释放积极信号,但全球市场依然不能...
欧意交易所 2025-07-31 34
-

半年亏超18亿!广汽全面进入“战时状态”
广汽直面过往对市场的误判,全面筹划反攻。 近日,正值转型关键阶段的广汽集团发布2025年上半年业绩预...
oKex交易所 2025-07-18 40
-

世界乒联公布第29周排名:朱雨玲陈熠进入女单前十
7月15日,世界乒联公布2025年第29周排名。女单方面,孙颖莎11250分保持第一,王曼昱6765...
欧意交易所 2025-07-15 32
-

首次进入政府工作报告的“具身智能”是什么?
中新经纬3月6日电 (薛宇飞 李晓萱)今年的政府工作报告指出,建立未来产业投入增长机制,培育生物制造...
欧意okex官网 2025-03-06 97
-

黄金价格跌宕起伏,e交易进入“捡漏”期!
6月16日,黄金市场经历了一场突如其来的大跌,价格一夜之间从2380美元暴跌至2267美元,跌幅高...
欧意交易所 2024-07-24 72
